El Molino de Aliaga
El Molino de Aliaga es la única edificación del siglo XVI, la época fundacional de Lima, que ha llegado hasta nuestros días, pues todas las construcciones que hoy se conservan en el centro histórico son posteriores al siglo XVII.
Newsletter Buenos días
:quality(75)/d2q2xcgw42pqkv.cloudfront.net/config/src/elcomercio/cortadores/img/general.png)
Los canales prehispánicos como el de Huatica o Monserrate, que conducían el agua del río Rímac, fueron fundamentales para la elección de Lima como capital del virreinato del Perú. El núcleo fundacional de la ciudad se planificó aprovechando el trazado de estos canales.
Jerónimo de Aliaga, uno de los militares de confianza de Francisco Pizarro, recibió un terreno colindante al río Rímac tras la fundación de Lima. En 1548, Aliaga mandó a construir el molino en la zona que hoy ocupa el ingreso al estacionamiento subterráneo de la Alameda Chabuca Granda.
“Este molino funcionó empleando la fuerza de uno de los ramales del canal de Huatica y molía trigo para la elaboración de harina. Con ella se hacían diferentes productos, como el pan. En 1672 fue clausurado. Con el paso del tiempo y el crecimiento paulatino de la ciudad, nuevas edificaciones como viviendas y establecimientos comerciantes ocuparon el espacio del antiguo molino”, explicó a El Comercio Ernesto Olazo, coordinador del grupo de arqueólogos de Prolima.
El arqueólogo también mencionó que la galería comercial Polvos Azules funcionó en esta zona en los años noventa.
Molino de Aliaga. Fotos: Julio Reaño/@photo.gec
/
El equipo de arqueología de Prolima halló los restos del Molino de Aliaga a cinco metros de profundidad en el 2020. “La estructura estaba cubierta por relleno constructivo correspondiente a edificaciones de los últimos cuatro siglos, así como los restos de una manzana de negocios y viviendas demolidas para construir la Alameda Chabuca Granda. Se hallaron en buen estado de conservación sus dos arquerías de ladrillo y muros de contención de piedra, a través de los cuales cursaba el agua que activaba el sistema de molienda”, detalló Olazo.
“Es la única estructura hidráulica de producción industrial que se ha encontrado hasta el momento en el centro histórico”, añadió.
“También se hallaron restos de las piedras circulares que, una vez activado un sistema de ruedas de madera, giraban y molían el trigo. Antiguamente, las piedras se ubicaban en la sala molinera, un ambiente construido encima de las arquerías”, agregó.
Piedra circular del antiguo molino encontrada bajo tierra. Fotos: Julio Reaño/@photo.gec
/
El hallazgo del Molino de Aliaga permite comprender cómo nuestra ciudad ha crecido y evolucionado con el paso de los siglos. Por ello, el objetivo del proyecto de Prolima es ponerlo en valor, realizar una reconstrucción didáctica de su antiguo funcionamiento y anexarlo al espacio público.
Asimismo, se busca ampliar la zona de excavación, cuya extensión es de 300 m2 para estudiar los sectores del molino que aún están enterrados. “Para conocer y estudiar la configuración urbana primigenia de la zona, se busca conectar el área de excavación del molino con la del antiguo Puente de Piedra, ubicada a pocos metros, con un corredor. Más adelante, se integrarán ambos proyectos con el Parque de la Muralla”, mencionó Olazo.
El Arco del Puente
El Puente de Piedra o Puente Trujillo se construyó en 1610 por encargo del virrey Marqués de Montesclaros para mejorar la conexión entre la ciudad amurallada y la ribera norte del río Rímac. Olazo mencionó que esta edificación reemplazó a un puente del siglo XVI, construido con ladrillos y constantemente dañado por los embates del río.
En paralelo, se edificó un arco de 25 metros de altura en el extremo sur del Puente de Piedra, en dirección al actual Jr. de La Unión. Diseñado por Fray Gerónimo de Villegas y construido por Juan del Corral, fue inaugurado en 1611.
Durante sus casi tres siglos de existencia, el Arco del Puente, con su lema ‘Dios y la Patria’, fue la entrada principal a la ciudad de Lima desde el Rímac y un punto de referencia clave para viajeros y comerciantes que recorrían el virreinato. En el siglo XIX, presentaba la imponente estética de un arco triunfal.

El Arco del Puente y el Puente de Piedra. Foto: Prolima.
Sin embargo, en la madrugada del domingo 13 de abril de 1879, un incendio que inició en una pastelería cercana lo redujo a cenizas. En aquella época, el interés nacional y los recursos económicos estaban destinados como prioridad al inicio de la Guerra del Pacífico, por lo que su restitución quedó en segundo plano.
Por ello, Prolima busca restituir el Arco del Puente, respetando su arquitectura, ubicación y dimensiones originales. Para generar un plano arquitectónico fidedigno del monumento, especialistas de la entidad analizaron el material gráfico y fotográfico existente, determinando las dimensiones, proporciones y composición original del Arco y sus partes.
Ernesto Olazo señala la base oeste del arco hallada bajo tierra.
Fotos: Julio Reaño/@photo.gec
/
“Para este cálculo fue fundamental una fotografía de Eugene Courret de 1870 en la que aparece una persona de aproximadamente 1,60 metros de altura al lado del arco, lo que permitió determinar escalas humanas y urbanas del monumento, así como las medidas del arco con mayor claridad”, explicó Olazo.
Actualmente, se realiza una investigación arqueológica en lugar donde estuvo edificado originalmente para encontrar vestigios del arco. A la fecha se ha identificado la base oeste del arco, compuesta de mampostería de piedras labradas de gran tamaño. Además, se encontró un arco de ladrillos de poco más de 5 metros de altura, que habría sido parte del primer puente que tuvo la ciudad en el siglo XVI.
El proyecto también incluye habilitar una sala de interpretación ubicada entre los campanarios de la parte alta del arco. De esta forma, funcionará como espacio de rescate y difusión del legado histórico del monumento, y como mirador hacia Lima y el Rímac.
¿Por qué ambos proyectos están paralizados?
Ambos proyectos se encuentran en la fase inicial de excavaciones arqueológicas, una etapa preliminar de investigación para la realización de expedientes técnicos. Prolima cuenta con permisos del Ministerio de Cultura (Mincul), establecidos en cinco actas, para explorar la zona donde actualmente se encuentra el estacionamiento de Palacio de Gobierno; también tiene un permiso de restricción vehicular de la Municipalidad de Lima (MML). Sin embargo, la fase de exploración no puede avanzar por decisión del Ejecutivo.

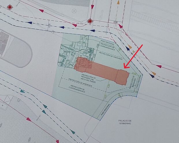
Prolima tiene permisos para realizar labores de exploración arqueológicas en las zona sombreadas. El área 3 incluye una parte del estacionamiento de Palacio de Gobierno. Foto: Prolima

Plano que demuestra que la base este estaría debajo de la caseta de seguridad del estacionamiento de Palacio de Gobierno. Foto: Prolima.
“Hemos identificado que la base este del Arco del Puente se encuentra debajo de la caseta de control del estacionamiento de Palacio de Gobierno, que es un área pública. Cuando intentamos ingresar a la zona con el permiso que tenemos, el personal de seguridad lo impide, porque indican que no existe autorización de las autoridades de Palacio. Su argumento es que afectaría la seguridad y transitabilidad de la presidenta [Dina Boluarte] y los funcionarios que utilizan el estacionamiento”, detalló Carlos Vega, subgerente de Operaciones de Prolima.
“El 15 de abril, tuvimos una reunión con Ysmael Mayuri Quispe, subsecretario del Despacho Presidencial, y su equipo técnico sobre nuestro proyecto de exploración arqueológica. Realizaron observaciones en materia de seguridad y tránsito de vehículos”, narró.
“Tuvimos una segunda reunión el 23 de abril en la que presentamos alternativas a las observaciones. Nos dijeron que nos iban a responder, pero hasta ahora no hemos obtenido respuesta”, asegura Vega. El 9 de mayo, el alcalde de Lima, Rafael López Aliaga, envió un oficio a la presidenta Dina Boluarte para solicitar que se permite el acceso al equipo de Prolima; Vega asegura que el escrito no ha obtenido respuesta.
En mayo, Prolima solicitó al Despacho Presidencial una autorización para la prueba de ensayo de refracción sísmica del proyecto de recuperación del Arco del Puente. En un documento al que accedió El Comercio, el Ejecutivo respondió el 17 de mayo que el pedido no era viable, porque “la zona donde se realizaría dicha prueba de ensayo de refracción es por donde habitualmente la señora Presidenta Constitucional de la República realiza sus desplazamientos”.

Informe del Despacho presidencial. Foto: Fuentes de El Comercio
A través de un escrito, el Mincul indicó a El Comercio que el proyecto de investigación arqueológica que realiza Prolima no cuenta con aprobación para construir obras.
“La autorización otorgada para la ejecución del PIA (Proyecto de Investigación Arqueológica) no constituye, en ningún caso, una autorización para la ejecución de obras civiles o de infraestructura”, sostuvo el Mincul. Vega respondió que el permiso del Mincul con el que cuenta Prolima no autoriza a realizar construcciones, pues es necesario elaborar previamente un expediente técnico.
“Para elaborarlo, necesitamos culminar con la intervención arqueológica, para la cual tenemos autorización, pero no es posible por la negativa de Palacio de Gobierno”, aseveró.
Pese a que cuenta con los permisos correspondientes, Vega manifestó que Prolima no tiene la intención de ingresar a la fuerza al área que impide Palacio de Gobierno. La culminación de los trabajos preliminares tiene un mes de retraso y la entrega del Arco del Puente, programada originalmente para octubre de este año, no tiene una fecha definida.
Olazo advirtió que ambas obras pueden suspenderse si persiste la postura del Ejecutivo. “La paralización afecta la partida presupuestal aprobada que se está usando parcialmente”, dijo. Una parte de la historia de nuestra ciudad está en riesgo de no poder recuperarse.
Plazuela de San Francisco: patrimonio encerrado
La Plazuela de San Francisco es un espacio emblemático entre los jirones Lampa y Áncash que permanece cerrado al público desde agosto de 2022 debido a una disputa legal entre la congregación franciscana y la MML.
Estado actual de la Plazuela de San Francisco. Fotos: Julio Reaño/@photo.gec
/
En enero de ese año, el Mincul autorizó la ejecución del proyecto de restauración integral a cargo de Prolima. Un mes después, la MML retiró la reja de la plazuela, en compañía de personal de la Fiscalía, la Policía Nacional y el Mincul. Este hecho ocasionó la disputa legal. En marzo, los franciscanos interpusieron una acción de amparo en contra de la MML y el Mincul; la medida fue concedida por el PJ en agosto del 2022 y desde entonces la plazuela permanece cerrada al público.
Luego de una apelación de la MML, en abril del 2023, el juez titular del Tercer Juzgado Especializado en lo Constitucional de la Corte de Justicia de Lima declaró infundada la demanda interpuesta por los franciscanos. Estos últimos apelaron la decisión, por lo que debía resolverse en segunda instancia. En ese mismo mes, tres magistrados de la tercera sala judicial declararon improcedente la solicitud de nulidad de la orden. En junio del 2024, el PJ, en interpretación de su Ley Orgánica, determinó que, al haber tres votos a favor de la improcedencia de la demanda de los franciscanos, ya existía una resolución del caso en segunda instancia.

Sin embargo, como indicó en su momento Fabricio Valencia, actual ministro de Cultura y entonces abogado de los franciscanos, la congregación impugnó el resultado en segunda instancia en el Tribunal Constitucional (TC).
El 18 de marzo de este año, el TC realizó una audiencia pública sobre la demanda de los franciscanos y, al término de la misma, Luz Pacheco, presidenta del TC, informó que la corte daría un veredicto en un plazo de 30 días. Sin embargo, Vega asegura a El Comercio que el organismo todavía no ha emitido un fallo al respecto.